미리내좌대
프롤로그
오시는길
좌대낚시란
좌대낚시란
시설안내
이용안내
이용안내
이용가이드
오늘의조황
커뮤니티
공지사항
조황후기
블로그리뷰
미리내바다좌대낚시
미리내좌대
프롤로그
오시는길
좌대낚시란
좌대낚시란
시설안내
이용안내
이용안내
이용가이드
오늘의조황
커뮤니티
공지사항
조황후기
블로그리뷰
전화문의하기
카카오톡 공유
네비게이션
미리내좌대
프롤로그
오시는길
좌대낚시란
좌대낚시란
시설안내
이용안내
이용안내
이용가이드
오늘의조황
커뮤니티
공지사항
조황후기
블로그리뷰
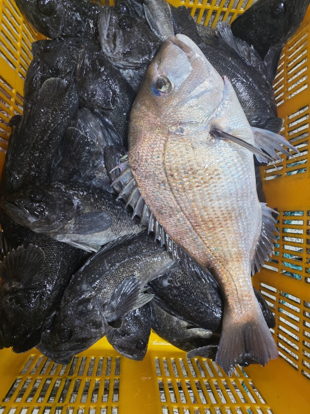
12월넷째주 조황입니다
미리내바다좌대낚시
쪽지보내기
메일보내기
자기소개
아이디로 검색
전체게시물
25-12-24
785 회
0 건
내일25일은풍랑주의보로 휴무입니다
목록
이전글
12월27일 조황입니다
25.12.27
다음글
12월셋재주 조황입니다
25.12.20