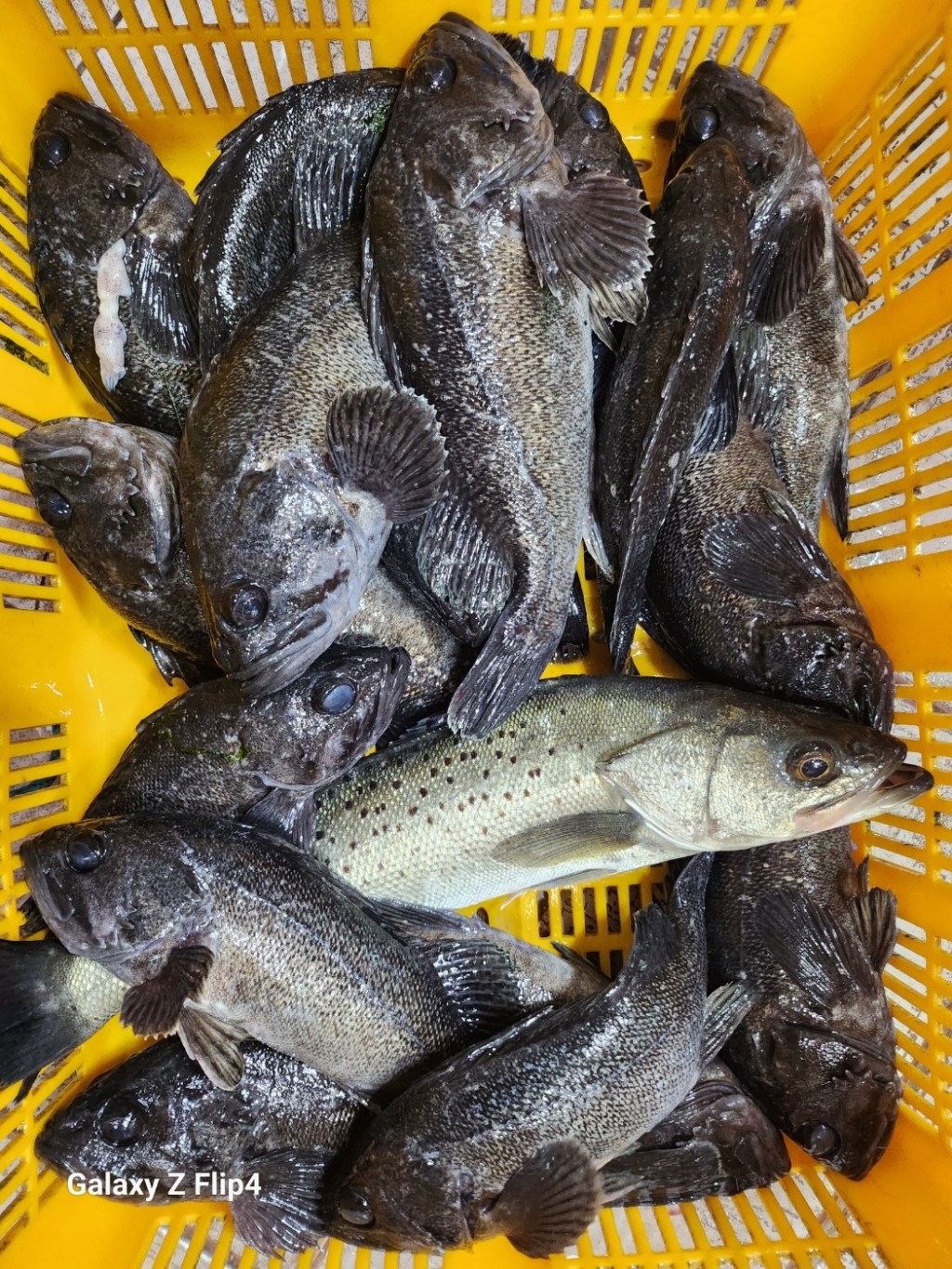
4월26일 조황입니다

따뜻하게 준비 하세요 

농어, 우럭입질좋아요 

5월부터참돔방류합니다4b3ff77bfa531da15ead69a344f9d21a_1745655286_3473.jpg
4b3ff77bfa531da15ead69a344f9d21a_1745655286_5183.jpg
4b3ff77bfa531da15ead69a344f9d21a_1745655286_6856.jpg
4b3ff77bfa531da15ead69a344f9d21a_1745655286_918.jpg
4b3ff77bfa531da15ead69a344f9d21a_1745655287_1425.jpg
4b3ff77bfa531da15ead69a344f9d21a_1745655287_3512.jpg
4b3ff77bfa531da15ead69a344f9d21a_1745655287_5299.jpg
4b3ff77bfa531da15ead69a344f9d21a_1745655287_7491.jpg
4b3ff77bfa531da15ead69a344f9d21a_1745655287_9368.jpg
4b3ff77bfa531da15ead69a344f9d21a_1745655288_1489.jpg
4b3ff77bfa531da15ead69a344f9d21a_1745655320_5549.jpg
4b3ff77bfa531da15ead69a344f9d21a_1745655320_9598.jpg
4b3ff77bfa531da15ead69a344f9d21a_1745655321_1562.jpg
4b3ff77bfa531da15ead69a344f9d21a_1745655321_4093.jpg
4b3ff77bfa531da15ead69a344f9d21a_1745655321_6217.jpg
4b3ff77bfa531da15ead69a344f9d21a_1745655321_8674.jpg
4b3ff77bfa531da15ead69a344f9d21a_1745655322_0748.jpg
4b3ff77bfa531da15ead69a344f9d21a_1745655322_2764.jpg
4b3ff77bfa531da15ead69a344f9d21a_1745655322_4823.jpg4b3ff77bfa531da15ead69a344f9d21a_1745655477_7947.jpg
4b3ff77bfa531da15ead69a344f9d21a_1745655477_9671.jpg
4b3ff77bfa531da15ead69a344f9d21a_1745655478_131.jpg
4b3ff77bfa531da15ead69a344f9d21a_1745655478_3036.jpg
4b3ff77bfa531da15ead69a344f9d21a_1745655478_4985.jpg
4b3ff77bfa531da15ead69a344f9d21a_1745655478_6851.jpg
4b3ff77bfa531da15ead69a344f9d21a_1745655478_8871.jpg
4b3ff77bfa531da15ead69a344f9d21a_1745655479_0944.jpg
4b3ff77bfa531da15ead69a344f9d21a_1745655479_2979.jpg
4b3ff77bfa531da15ead69a344f9d21a_1745655479_4812.jpg
4b3ff77bfa531da15ead69a344f9d21a_1745655508_6157.jpg
4b3ff77bfa531da15ead69a344f9d21a_1745655508_8084.jpg
4b3ff77bfa531da15ead69a344f9d21a_1745655509_0133.jpg
4b3ff77bfa531da15ead69a344f9d21a_1745655509_2037.jpg
4b3ff77bfa531da15ead69a344f9d21a_1745655509_4097.jpg
4b3ff77bfa531da15ead69a344f9d21a_1745655509_6183.jpg
4b3ff77bfa531da15ead69a344f9d21a_1745655509_812.jpg
4b3ff77bfa531da15ead69a344f9d21a_1745655510_0227.jpg
4b3ff77bfa531da15ead69a344f9d21a_1745655510_2284.jpg
4b3ff77bfa531da15ead69a344f9d21a_1745655510_4297.jpg