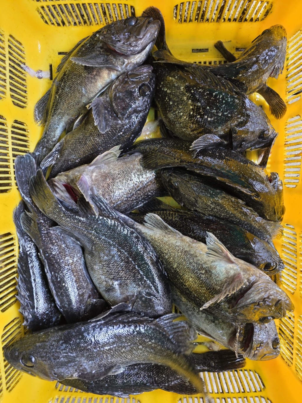
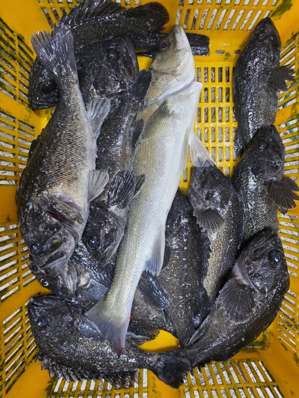
4월주중 조황입니다

따뜻하게 준비 하세요 

참돔 방류합니다 828f3387aeb31938d306e67e37378486_1777018848_0105.jpg
828f3387aeb31938d306e67e37378486_1777018848_3174.jpg
828f3387aeb31938d306e67e37378486_1777018848_4788.jpg
828f3387aeb31938d306e67e37378486_1777018848_6418.jpg
828f3387aeb31938d306e67e37378486_1777018848_8251.jpg
828f3387aeb31938d306e67e37378486_1777018849_0076.jpg
828f3387aeb31938d306e67e37378486_1777018849_1795.jpg
828f3387aeb31938d306e67e37378486_1777018849_3665.jpg
828f3387aeb31938d306e67e37378486_1777018849_5686.jpg
828f3387aeb31938d306e67e37378486_1777018849_7489.jpg
828f3387aeb31938d306e67e37378486_1777018886_278.jpg
828f3387aeb31938d306e67e37378486_1777018886_5078.jpg
828f3387aeb31938d306e67e37378486_1777018886_6832.jpg
828f3387aeb31938d306e67e37378486_1777018886_8697.jpg
828f3387aeb31938d306e67e37378486_1777018887_0663.jpg
828f3387aeb31938d306e67e37378486_1777018887_2666.jpg
828f3387aeb31938d306e67e37378486_1777018887_4575.jpg
828f3387aeb31938d306e67e37378486_1777018887_656.jpg
828f3387aeb31938d306e67e37378486_1777018887_8537.jpg